Weather News
Avoid Travel – Snowfall Warning Issued For Highway 3
A warning for snowfall has been issued for West Kootenay and the Boundary areas. Environment Canada says a damp Pacific frontal system
Severe Manitoba Snowstorm Snaps Trees, Closes Schools, & Shuts Highways
Manitoba Hydro and the City of Winnipeg are hiring private customers to get rid of the downed trees and branches.
20-Degree Temperature Fall, Strong Wind And Snow Likely In Regions of Alberta
In the statement issued Sunday afternoon, Environment Canada explained a low-pressure system was rising in the Yukon Sunday night
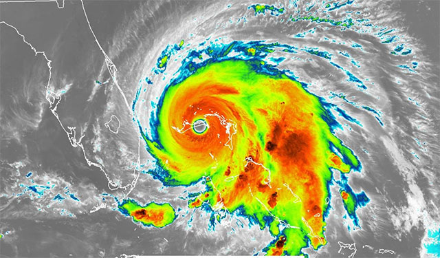
Three Tropical Cyclones To Twirl In The Atlantic
The Atlantic basin continues its hot streak as Tropical Storms Lorenzo, Jerry and Karen all keep on swirling over the region on Tuesday.
Average fall, cold winter predicted ahead In Canada
Canadians can look forward to average temperatures this fall that’ll give way to cold winter in the eastern and central regions of the country.
Extensive Rain, Cool Pattern Widens Across The West, Possibility Of Alpine Snow
A cool and wet pattern takes hold of much of Western Canada this week. That will be an ideal line of attack to illustrate much of Western Canada
Severe Flooding Takes Toll, Several Dead
Localities in the Charlotte region are submerged by flooding from Sunday into Monday. Local news reporters capture cars and homes underwater in the vicinity.
Tropical Storm Dorian strides forward to the Caribbean
The impact of the storm looks restricted to the Caribbean, but one more tropical disturbance may have a late-week impact on Atlantic Canada.
It snowed in Canada, and it wasn’t in the Arctic
According to Weather Network meteorologist Jaclyn Whittal, “Initially confined to the higher terrain, more snow will expand along stretches of the Alaska Highway
Rise in the number of storms could be witnessed by hurricane season: NOAA
NOAA now states there’s a likelihood of further hurricanes forming this season than as forecasted in the spring.















